1. Bekanntmachung
Bauleitplanung der Stadt Haiger
• Bebauungsplan „Sportheim Offdilln“, Gemarkung Offdilln
• hier: Bekanntmachung des Satzungsbeschlusses und
Inkrafttreten des Bebauungsplanes gem. § 10 (3) BauGB
Die Stadtverordnetenversammlung der Stadt Haiger hat in ihrer Sitzung am 01.07.2020 über die im Rahmen der Beteiligungsverfahren nach §§ 3 (1) und 4 (1) sowie §§ 3 (2) und 4 (2) BauGB vorgelegten Stellungnahmen nach § 1 (7) BauGB abgewogen und beschlossen.
Alsdann hat die Stadtverordnetenversammlung der Stadt Haiger den Bebauungsplan „Sportheim Offdilln“, Gemarkung Offdilln gemäß § 10 (1) BauGB als Satzung beschlossen und die Begründung und den Umweltbericht dazu.
Mit der Bauleitplanung werden die bauplanungsrechtlichen Voraussetzungen für die Wiedererrichtung des Ende 2018 niedergebrannten Sportheimes auf gleicher Grundfläche, nunmehr jedoch mit zwei Vollgeschossen, geschaffen.
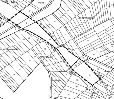
Das Gebiet des Bebauungsplanes liegt im Außenbereich ca. 350 - 400 nordwestlich der Ortslage von Offdilln unmittelbar neben dem Sportplatzgelände des SSC Offdilln entsprechend folgender Abbildung:

Der räumliche Geltungsbereich des nunmehr vorliegenden Bebauungsplanes umfasst mit einer Fläche von rd. 0,22 ha lediglich den bereits vormals als Sportheim (mit Vorplatz und dem Parkplatz) genutzten Teil des Flurstückes 30 in der Flur 19 der Gemarkung Offdilln.
Der Satzungsbeschluss wird hiermit gemäß § 10 Abs. 3 BauGB ortsüblich bekannt gemacht. Mit dieser Bekanntmachung tritt der Bebauungsplan „Sportheim Offdilln“ (Satzung) gemäß § 10 Abs. 3 Satz 4 BauGB in Kraft.
Jedermann kann den rechtskräftigen Bebauungsplan mit der Begründung und die zusammenfassende Erklärung ab dem Tag dieser Bekanntmachung im Rathaus der Stadt Haiger, Marktplatz 7, 35708 Haiger während der allgemeinen Dienststunden sowie nach Vereinbarung einsehen und über den Inhalt Auskunft verlangen. Ergänzend wird der Bebauungsplan unter folgendem Link https://www.haiger.de/rathaus-politik/amtliche-bekanntmachungen/ sowie über das zentrale Internetportal des Landes Hessen zugänglichgemacht.
Gemäß § 10a Abs. 1 BauGB wird dem Bebauungsplan eine zusammenfassende Erklärung beigefügt, aus der die Art und Weise hervorgeht, wie die Umweltbelange und die Ergebnisse der Öffentlichkeits- und Behördenbeteiligung in dem Bebauungsplan berücksichtigt wurden und aus welchen Gründen der Plan nach Abwägung mit den geprüften in Betracht kommenden anderweitigen Planungsmöglichkeiten gewählt wurde.
Hinweise nach § 215 Abs. 2 BauGB:
Eine Verletzung der in § 214 Abs. 1 S. 1 Nr. 1 bis 3 BauGB bezeichneten Verfahrens- und Formvorschriften, eine unter Berücksichtigung des § 214 Abs 2 BauGB beachtliche Verletzung der Vorschriften über das Verhältnis des Bebauungsplanes und des Flächennutzungsplanes und nach § 214 Abs. 3 Satz 2 BauGB beachtliche Mängel des Abwägungsvorganges sind nach § 215 Abs. 1 BauGB unbeachtlich, wenn die Verletzung der Verfahrens- und Formvorschriften und die Mängel der Abwägung nicht innerhalb eines Jahres seit Inkrafttreten des Bebauungsplanes schriftlich gegenüber der Stadt Haiger geltend gemacht worden sind.
Der Sachverhalt, der die Verletzung der Verfahrens- und Formvorschriften oder den Mangel der Abwägung begründen soll, ist darzulegen.
Hinweise nach § 44 Abs. 5 BauGB:
Auf die Vorschriften des § 44 Abs. 3 Satz 1 und 2 sowie Abs. 4 BauGB über die fristgerechte Geltendmachung etwaiger Entschädigungsansprüche sowie über die Fälligkeit und das Erlöschen von Entschädigungsansprüchen wird hingewiesen.
Die in §§ 44 und 215 BauGB festgelegten Fristen beginnen mit dieser Bekanntmachung.
Nach § 10 Abs. 3 Satz 5 BauGB tritt diese Bekanntmachung an die Stelle der sonst für Satzungen vorgeschriebenen Veröffentlichung.
Der Magistrat der Stadt Haiger
Schramm, Bürgermeister Haiger 18.07.2020










